مشاوره رایگان تبلیغات 02145705 |
کلینیک دکتر صلح جو جراحی و ترمیم ضایعات پوست بوتاکس ختنه فصد خون

پیلینگ شیمیایی

کامنت 0

توضیح مختصر :

0 ریال
قیمت
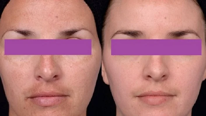
پوست شما با پیلینگ شیمیایی ظاهری شفاف تر و زیبا تر پیدا می کند.
در این روش درمانی لایه های فرسوده پوست شما با استفاده از مواد شیمیایی برداشته میشود. پوست تازه صافتر و چین و چروک کمتری خواهد داشت.
لایه برداری شیمیایی بر حسب شدت به 3 دسته تقسیم می شود:
• خیلی سطحی: تنها شامل اپیدرم می شود و ممکن است تا حدودی خیلی کم درم را نیز شامل شود.
• سطحی: شامل اپیدرم و لایه خارجی درم است.
• متوسط: شامل بخش های عمقی تر درم نسبت به لایه برداری سطحی است.
• عمیق: تقریباً نصف ضخامت درم را شامل می شود.
هر چه لایه برداری عمیق تر باشد احتمال از بین رفتن لکه های صورت و چرو ک هایی که با پیلینگ سطحی قابل برداشتن نیستند زیادتر می شود.
پیلینگ شیمیایی در نقاط مختلفی از بدن از جمله صورت، گردن، تنه و اندامها قابل انجام است.
این روش درمانی در موارد زیر کاربرد دارد:
• کاهش خطوط ریز اطراف چشم و دهان
• درمان چینهای ناشی از نور آفتاب یا افزایش سن
• بهبود ظاهر اسکارهای کم عمق
• درمان انواع مختلف جوش صورت
• درمان منافذ باز پوست
• درمان رگه های قرمز ناشی از نور آفتاب یا افزایش سن
• درمان قرمزی صورت و پوستهای حساس و خشک
• درمان لکه های قهوه ای ناشی از آفتاب، افزایش سن، بارداری یا مصرف داروهای هورمونی
اصولاً افرادی که پوست و موی روشنتری دارند کاندید بهتری برای پیلینگ شیمیایی هستند.
پیلینگ شیمیایی به دلیل نیاز به مراقبت های مخصوص و حفاظت جدی پوست پیلینگ شده از نورآفتاب در فصل تابستان انجام نمیشود.